DICKEBUSCH OLD MILITARY CEMETERY
(CWGC Ref 5/54)
DICKEBUSCH
(now Dikkebusch) is a village and commune in the Province of West Flanders, 5
kilometres South-West of Ypres on the road to Bailleul. It contains the New
Military Cemetery and Extension (the Registers of which are already published),
the Churchyard, and (on the South side of the lane, opposite the Churchyard),
the Old Military Cemetery. A light railway runs from Y pres to a station called
Cromme-Elst ( or Cafe-Francais) 2 kilometres from Dickebusch .
The
Old Military Cemetery was used by our troops as a "front-line
cemetery" in January , February and March, 1915. It contains the graves of
41 soldiers from the United Kingdom, 3 from Canada, and one German prisoner. It
contained also, on the North and East sides, the graves of 78 French soldiers,
now removed to another place of burial.
The
area covered by the cemetery is 995 square metres, and the boundaries are marked
by a low rubble wall. There are 10 graves of the 1939-45 War in this cemetery .
The
Register records particulars of 44 British and Dominion burials.


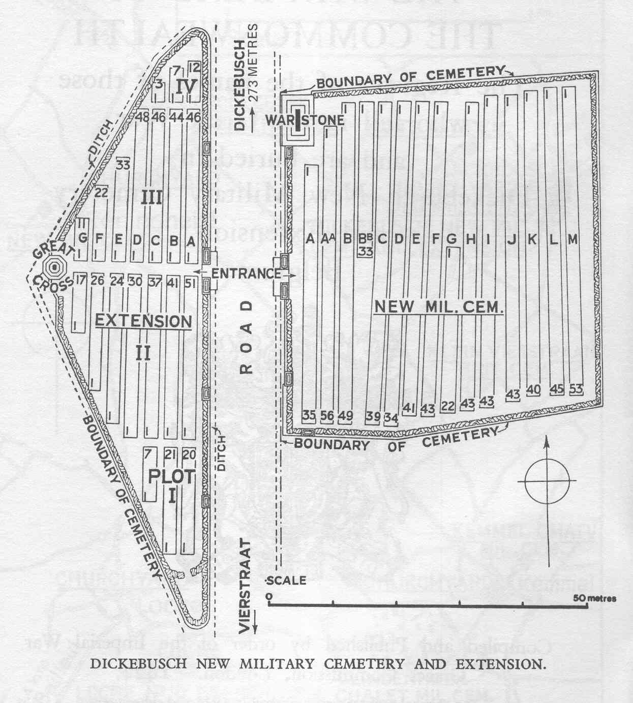
DICKEBUSCH NEW MILITARY CEMETERY
(CWGC Ref 5/54)
DICKEBUSCH
(now Dikkebus) is a village and Commune in the Province of West Flanders, five
kilometres South-West of Ypres on the road to Bailleul. The New Military
Cemetery is on the South side of the village, on the East side of the road to
Vierstraat; and the Extension faces it, on the West side of the road. A light
railway runs from Ypres to Dickebusch.
The
New Military Cemetery was begun in February 1915 (in succession to the Old
Military Cemetery near the Church), and was used until May 1917, by the units
and Field Ambulances in the neighbourhood. Four additional burials took place in
it in March and April 1918. It contains the graves of 529 soldiers from the
United Kingdom, 84 from Canada, and 11 from Australia; and 92 of these officers
and men belonged to Artillery units. The 31st (Alberta) Canadian Infantry
Battalion erected in it a memorial to 22 of their numbers who fell in April
1916.
The
Extension was begun in May 1917, and used until January 1918, by units and Field
Ambulances, even during the German attack which reached Dickebusch Lake on the
8th May. It contains the graves of 520 soldiers from the United Kingdom, 24 from
Australia, 2 from Canada and 1 from South Africa; and 260 of these officers and
men belonged to Artillery units. One German prisoner is buried in Plot III, Row
C.
The
two cemeteries are treated, so far as possible, as one. They cover an area of 4,099
m2. The Cross is placed in the Extension, opposite the entrance, and
the War Stone by the roadside in the New Military Cemetery.
The
Registers of the two cemeteries record particulars of 1,158 War Dead.


DICKEBUSCH NEW MILITARY CEMETERY EXTENSION
(CWGC Ref 5/54)
